工程背景与地质挑战珠海横琴隧道作为横琴岛第三条跨海通道,需穿越水深6米的马骝洲水道,采用双线盾构工艺施工。隧道全长约600米,直径15米,最大埋深34米。前期勘察发现,施工区域浅层为海相沉积物,下方基岩为花岗岩,埋深约38-40米。但强风化层中潜藏直径超2米的孤立岩体及基岩突起,可能阻碍盾构推进。因此,精准定位此类地质异常体成为关键任务。

地震散射技术的实施策略项目采用同度物探研发的地震散射探测方案,通过小排列采集模式获取垂直速度剖面数据。该技术依托GPS定位系统,通过多轮航行实现高密度数据覆盖,最终构建三维地质模型。具体参数如下:
勘探范围:沿隧道轴向400米,横向60米;
采集密度:轴向炮点间距1米,横向2米,形成网格化测点;
设备配置:24组水听器(间距0.5米,偏移距1米)配合3万焦耳电火花震源,以每分钟1次的频率激发,累计完成10400次震源触发,探测深度超80米。如图1所示,系统通过水上震源与高精度水听器协同作业,实现全海域数据动态采集。


图1 数据采集系统及勘探区示意图
三维地质建模与成果解析经数据处理生成三维波速模型,分辨率达轴向1米、横向2米、垂向0.5米,支持多维度切片分析。
1.基岩与孤立岩体空间分布基于波速≥2400m/s的阈值提取基岩顶界面(图2),结果显示:
多数区域基岩埋深38-40米(蓝色区域);
红黄色区域为埋深不足30米的基岩突起,集中于隧道左侧;
孤立岩体分布与基岩形态高度关联,非传统“飘石”特征。

图2 测区基岩与孤石高程分布图
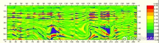
2.隧道轴向地质剖面特征纵向切片(图3a、3b)揭示:
图3a 偏移成像剖面 |

浅层30米内为波速
30-40米深度为全风化层(波速1800-2400m/s),内含高波速异常体(>2400m/s),即孤立岩体;
40米以下为中风化基岩,波速显著升高。

图3b 波速分布剖面
3.孤立岩体平面定位分析33米深度水平切片(图4)显示:

图4埋深33m的波速水平切片与孤石位置
红色高波速区对应孤立岩体,主要分布于隧道左侧;
结合隧道设计轴线(黑色椭圆),可精准标记岩体编号及坐标。
4.隧道横断面风险验证选取典型横断面(图5)分析表明:

图5 波速横切片中的隧道与孤石
红色高波速体多与基岩相连,证实为“有根”突起;
隧道穿越区域需重点处理此类地质隐患。
工程应用与验证本次勘探共识别26处风险点,其中直径>3米的9处。基于成果:
实施针对性爆破预处理,完成钻孔2426个;
钻探验证显示,物探数据准确率达90%,深度误差≤1米。
此项技术突破为复杂海域隧道工程提供了高效勘探范式,显著降低盾构施工风险。
4001102288 欢迎批评指正
All Rights Reserved 新浪公司 版权所有
